Skip to Content Facebook Feature Image

3號風球維持至今晚10點 改掛8號風球機會少於一半

3號風球維持至今晚10點 改掛8號風球機會少於一半

3號風球維持至今晚10點 改掛8號風球機會少於一半

2018年09月12日 18:15 最後更新:18:31

「百里嘉」將於晚上最接近澳門。

熱帶風暴「百里嘉」靠近,澳門3號風球正在生效,並於晚上10時前維持。氣象局預計「百里嘉」風力將會增強,並於晚上最接近澳門。由於「百里嘉」環流較小,今日晚間發出8號風球機會少於一半,除非「百里嘉」接近澳門時顯著增強或轉為較偏北路徑移動,當局才會考慮改發8號風球。

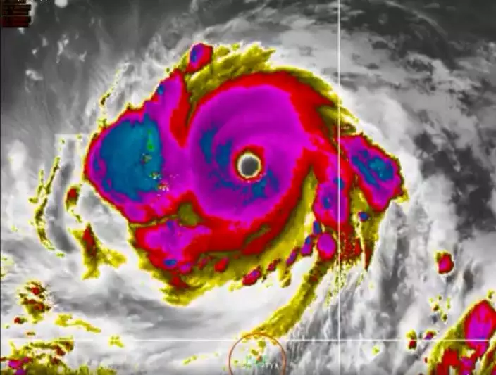
山竹的風眼非常清晰。US National Weather Service Guam圖片

山竹的風眼非常清晰。US National Weather Service Guam圖片

澳門氣象局表示,下午5時,熱帶風暴「百里嘉」集結在澳門東南偏南約150公里處,以時速20公里的速度向西方向移動,大致趨向雷州半島,預測澳門風力將會增強。「百里嘉」將於晚上最接近澳門,於澳門南方約150公里範圍內掠過,預測澳門風力會繼續增強,驟雨逐漸增多,間中會有狂風雷暴。

澳門氣象局圖片

澳門氣象局圖片

另外,藍色風暴潮警告正在生效,預料今日晚間至明日清晨內港一帶因風暴潮出現水浸,預測水位將高於路面0.5米以下。此外,預料位於西北太平洋的超強颱風「山竹」會持續向西移動,將於周末開始顯著影響廣東沿岸,並對珠江口構成嚴重威脅,當局呼籲市民做好預防強風及風暴潮的相關措施。

澳門氣象局代副局長鄧耀民指「百里嘉」約於澳門南面100至150公里掠過,由於強度較弱、暴風圈約小於100公里屬於較小,預料澳門不會直接受影響,但因為其移動路徑仍有很多不確定性,若今晚增強及移動路徑偏北,仍有機會改掛8號風球。

天文台預測,2026年將有4至7個熱帶氣旋影響香港,而受到厄爾尼諾現像影響,今年將會是偏熱的一年,最高氣溫有機會闖入「前十位」。

去年9月樺加沙襲港,中心約120公里處錄得近地面風速達每小時135公里。

去年9月樺加沙襲港,中心約120公里處錄得近地面風速達每小時135公里。

天文台長陳栢緯在天文台年度展望記者會上表示,預計來襲的熱帶氣旋數量,屬於正常水平。去年本港受到14個熱帶氣旋影響,其中11個闖入500公里範圍,熱帶氣旋韋帕及樺加沙分別在7月及9月襲,令香港要兩度發出10號風球。陳栢緯指過去亦有厄爾尼諾年發出10號風球,至於今年會否有10號風球,只表示「有機會」。

天文台指今年將會是偏熱的一年。巴士的報記者攝

天文台指今年將會是偏熱的一年。巴士的報記者攝

陳栢緯又說,厄爾尼諾影響在下半年會較為明顯,目前難以預測會否有反常氣溫,但明確指出今年將會是偏熱的一年,受極端天氣影響,最高氣溫應該會進入紀錄的「前十位」。

暴雨將持續影響本港。巴士的報記者攝

暴雨將持續影響本港。巴士的報記者攝

天文台預計今年雨量介乎2,100至2,700毫米,趨於正常,但極端天氣下,可能會長時間不下雨後突然有大暴兩,市民仍需留意。另外天文台目前採用AI科擊預測雨量,但陳栢緯強調,雷雨發展速度快,難以準確預測,加入AI是希望可以向準確預測方面發展,希望可以盡早提供訊息給市民早作準備。

你 或 有 興 趣 的 文 章